Skip to main content

Search News

Displaying 161 - 168 of 176
Earth from Orbit
On Jan. 1, 2022, just before 11:30 am local time, there were numerous citizen and media reports (as well as many emergency calls to 911) describing mu
image
Satellite Snapshots
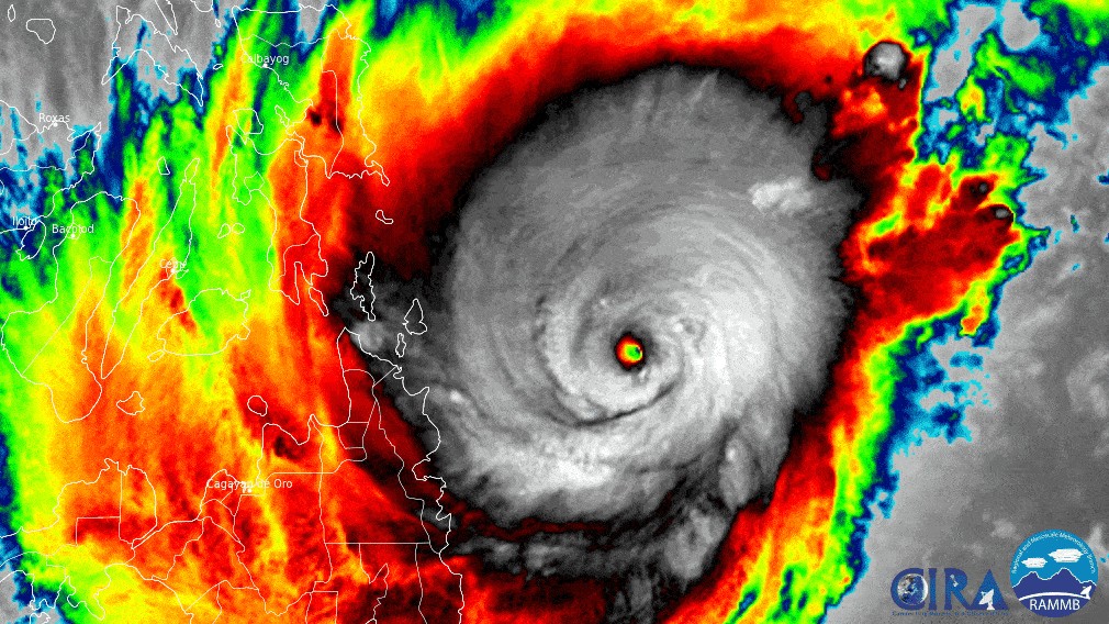
The Himawari-8 satellite, operated by our partners at the Japan Meteorological Agency, has been closely monitoring Typhoon Rai, known in the Philippin
image
Satellite Snapshots
On Dec. 12, NOAA’s GOES East satellite had its eye on snow laying across northern Iowa, Minnesota, and Wisconsin.
image
Satellite Snapshots
The Atlantic Basin had another busy hurricane season this year, which officially wrapped up on November 30.
image
Earth from Orbit
NOAA’s GOES-T, the third in the GOES-R Series of advanced weather observing and environmental monitoring satellites, arrived in Florida on Nov. 10.
image
Announcement
NOAA and NASA are now targeting March 1, 2022, as the new launch date for NOAA’s Geostationary Operational Environmental Satellite T (GOES-T) mission.
image
Announcement
After 15 years of service, the Meteorological Operational Satellite A (MetOp-A) polar-orbiting spacecraft will be retired in November 2021.
image
Announcement
NOAA has released an RFI soliciting information on existing or planned commercial space-based space weather data and related capabilities.
image