Skip to main content

Search News

Displaying 193 - 200 of 983
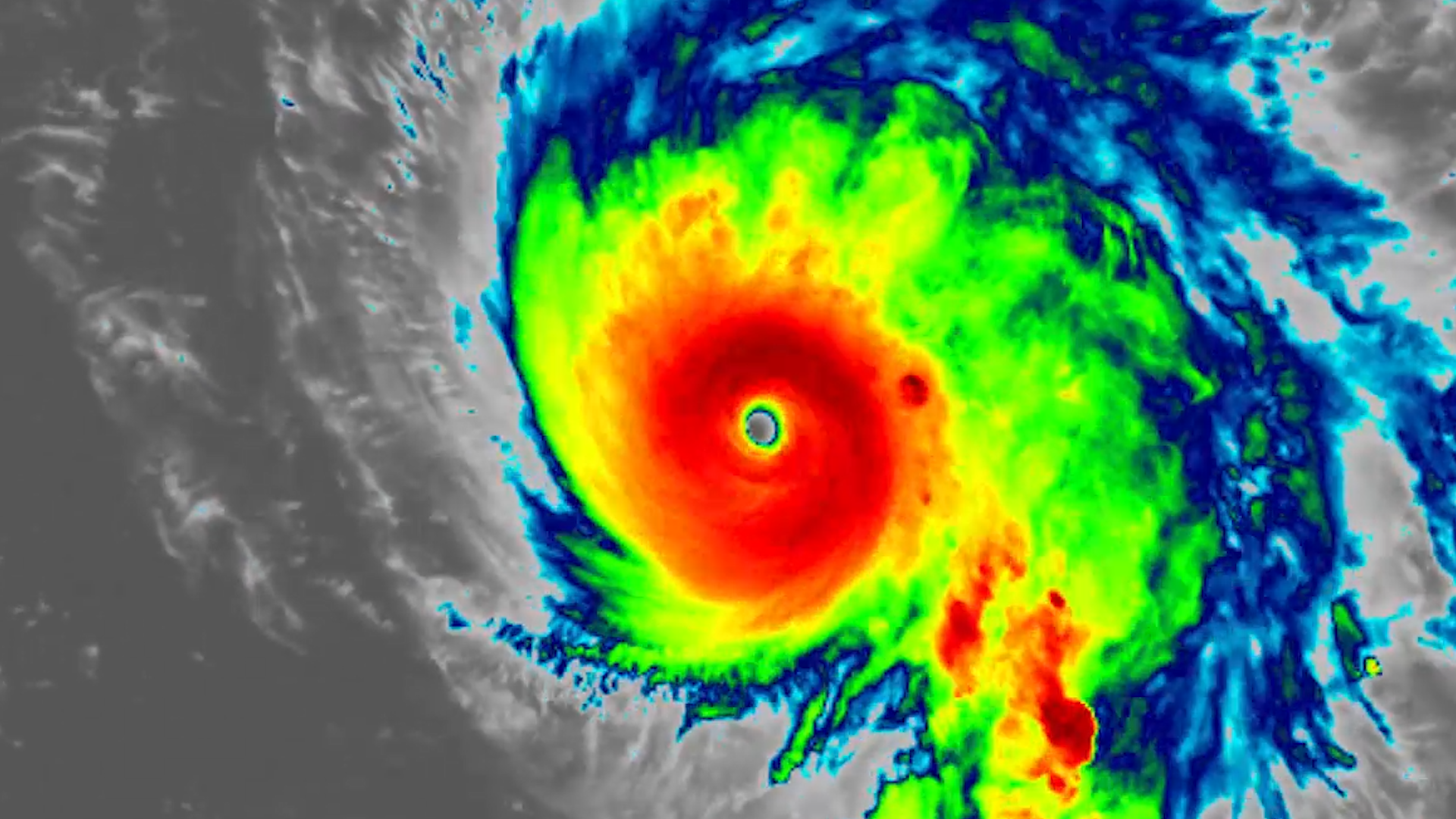
Earth from Orbit
Sept. 10 marked the peak of the Atlantic hurricane season, which officially runs from June 1 through Nov. 30.
image
Earth from Orbit
At least nine people died from torrential rains in New York and New Jersey as Hurricane Ida moved North.
image
Earth from Orbit
At least nine people died from torrential rains in New York and New Jersey as Hurricane Ida moved North.
image
Satellite Snapshots
NOAA’s GOES East satellite was closely watching the swirling clouds and flashing lightning associated with major Hurricane Ida on August 29, 2021.
image
Satellite Snapshots
NOAA’s GOES East satellite had its eye on Minnesota’s Greenwood Fire on August 23, as the wildfire nearly doubled in size.
image
Earth from Orbit
As we approach the peak of Atlantic hurricane season, activity in the tropics has ramped up.
image
Earth from Orbit
As wildfires continue to rage in North America, the Dixie Fire became the second largest fire in California history.
image
Earth from Orbit
As wildfires continue to rage in North America, the Dixie Fire became the second largest fire in California history.
image