Skip to main content

Search News

Displaying 393 - 400 of 444
Satellite Snapshots
This data visualization shows the maximum wind gusts from Hurricane Irma from September 7 to September 10, 2017.
image
Satellite Snapshots
The Visible Infrared Imaging Radiometer Suite (VIIRS) instrument aboard the Suomi NPP satellite captured Hurricane Irma.
image
Feature Story
This is a collection of weather imagery from JPSS-1. NOAA’s Joint Polar Satellite System (JPSS) provides global observations that serve as the backbone of both short- and long-term forecasts, including those that help us predict and prepare for…
image
Feature Story
This is a collection of weather imagery from JPSS-1. NOAA’s Joint Polar Satellite System (JPSS) provides global observations that serve as the backbone of both short- and long-term forecasts, including those that help us predict and prepare for…
image
Satellite Snapshots
GOES-16 satellite GeoColor image of Hurricane Harvey at peak intensity on August 25, 2017 at 23:00 UTC.
image
Satellite Snapshots
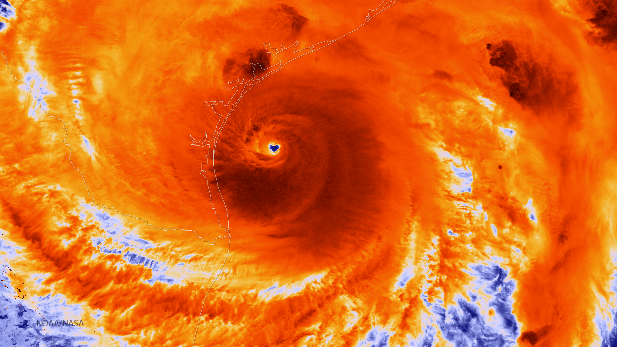
The NOAA/NASA Suomi NPP satellite captured this infrared image of Hurricane Harvey on August 25, 2017 at 18:55 UTC.
image
Satellite Snapshots
The Visible Infrared Imaging Radiometer Suite (VIIRS) instrument aboard the NOAA/NASA Suomi NPP satellite captured this color…
image
Satellite Snapshots
GOES-16 captured this image of Tropical Storm Harvey traversing the Windward Islands and entering the Caribbean Sea on August 18,…
image